
4 ключевых секрета ловли карася в октябре, где искать и как ловить
С приходом октября многие рыбаки, что называется, «переобуваются в воздухе». В основном, в руки попадает спиннинг либо живцовые снасти, и лишь небольшое количество продолжает охотиться за белью. При чем некоторые любители ловли мирной рыбы пытаются ловить карася, ведь даже сейчас, в период золотой осени, есть все шансы нарваться на «раздачу».
Содержание:
Когда лучше ловить карася, а когда - остаться дома?
Первое, о чем следует помнить, собираясь на осеннего карася - его теплолюбивый характер. Нынешняя погода, в принципе, позволяет об этом особо не задумываться - когда на улице 20 градусов тепла и выше, карась активен так же, как и летом. Однако стоит погоде измениться и рыбка начинает капризничать. Сейчас поведение карася напоминает весеннее — малейшее похолодание сводит все старания рыболова на нет.
Лучшие друзья карасятника в октябре — термометр и приложение прогноза погоды на смартфоне. Хорошего клева можно ожидать, когда на протяжении пары-тройки дней погода кардинально не менялась, а ночная температура воздуха не опускается ниже отметки в +5 градусов. В таких условиях можно успешно ловить и утром, и на протяжении светового дня. Несколько хуже обстоят дела с приходом первых заморозков. Активизирует рыбу лишь тепло, а потому «раскачиваются» точки достаточно долго - до полудня, а то и дольше.
Ехать в такие деньки на водоем с рассвета имеет смысл в двух случаях — если нужно занять место либо же в водоеме живет «особенный» карась, который живет и кормится по своим правилам. Последний случай характерен для теплых прудов, температура воды в которых даже зимой не падает ниже 10 градусной отметки (привет, Малиновщизна!). Здесь у карася круглогодичное лето со всеми вытекающими последствиями.
И уж точно не стоит рассчитывать на хороший результат, когда погоду ломает на холод, а ветер заходит с севера, выдувая последние остатки тепла. Поклевки карася в таких ситуациях будут иметь скорее случайный характер и на хороший результат рассчитывать не приходится.
Где искать карася?
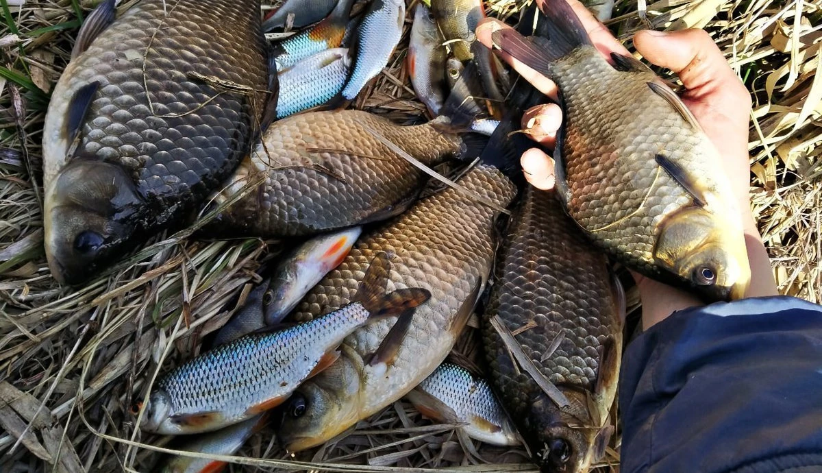
Речь в данной ситуации будет идти не столько о точке ловли, сколько о правильном выборе места и водоеме в частности. Все локации можно разделить на две группы - те, где карась соседствует с лещом и другими карповыми и водоемы, в которых он является доминирующей рыбой. В первом случае поимки карася стабильны, но в качестве прилова. Во втором же можно рассчитывать на хороший клев, и именно их следует рассматривать в качестве осенних локаций.
Объединяет такие водоемы небольшая глубина, большие площади зарослей камыша и тростника, а также толстый слой ила на дне. Опционально может присутствовать ручеек-речушка, на базе которого построен водоем, а также небольшая дамбочка, поддерживающая уровень. Именно здесь, у плотины, и расположены лучшие осенние места для ловли — большая глубина не позволяет воде быстро остывать, а потому рыба здесь не снижает активности даже в заморозки.
Схожими по характеру местами могут служить различного рода затопленные канавы и мелиоративные каналы на торфяниках. Рядом с ними, на глубине от полутора метров, чаще всего ловят не только карася, но также и линя.
Типично летние отмели также работают, однако здесь результата следует ждать лишь в теплые деньки, в идеале — пополудни, когда вода прогревается. На популярных карасиных водоемах можно наблюдать, как мигрируют рыболовы по мере роста температуры — с утра ловят на более глубоких участках, а по мере приближения обеденного времени плавно перемещаются на мелководные участки.
Какую удочку выбрать
При всей моей любви к фидеру, для ловли осеннего карася эта снасть не самый лучший вариант. Более того, классическая английская донка часто пасует по этой рыбе даже по сравнению с «дедовскими» пружинами и «смактухами», а также с флет-фидером. Осенью же, когда на первое время выходят вопросы мобильности и деликатности, «рулить» начинает поплавочная удочка во всех проявлениях. С её помощью можно облавливать локальные приямки, точки на границе растительности, а также окна среди камыша - даже в октябре такие места могут принести неплохой улов.
Я предпочитаю болонские удилища — наличие катушки здорово упрощает процесс вываживания и позволяет забросить чуть дальше, нежели длина удочки. Компонуется снасть традиционным образом: поплавок грузоподъемностью 1.5-2 грамма, рассредоточенная огрузка, леска диаметром 0.18-0.2 мм, поводок 0,12-0,14 мм. При ловле в сложных условиях диаметр поводка имеет смысл увеличить, а то и вовсе привязывать крючок к основной леске. К примеру, когда приходится ловить карасей весом под килошку в маленьких окнах среди растительности.
И лишь в том случае, если рыба держится далеко от берега, в ход идет фидер. Оснастка чаще всего классическая, различие кроется лишь в длине поводка — по карасю чаще всего работают максимально короткие, не более 20 сантиметров, поводки. Так, чтобы наживка болталась неподалеку от кормушки. А вот лещовые варианты с метровыми поводками прокатывают крайне редко.
Что касается деликатесов, в нынешнем сезоне распробовали по карасю прикормки с ароматом «марципан». До недавних пор мне казалось, что кормить карася в принципе неважно чем, однако мнение было ошибочным — специализированные карасиные прикормки отрабатывают гораздо лучше лещово-плотвиных вариантов. Сейчас же, в октябре, неплохо могут проявить себя чеснок, укроп, креветка и другие нестандартные резкие ароматы. Причем как при замешивании корма, так и в качестве дипа — обработанную насадку карась берет охотнее, нежели «голую».
К слову, по насадке - компанию мотылю, опарышу и червю составляет консервированная кукуруза и распареная перловка. А еще неплохие результаты показывают «пуфки» — вулканизированная кукуруза, которую можно использовать как в чистом виде, так и в качестве подсадки к тому же опарышу.
Ночная карасиная рыбалка
Нынешний сезон отметился еще и рекордным количеством перспективных карасиных рыбалок именно в ночное время. Оказалось, есть даже целые водоемы, в которых карась питается именно в ночное время. Главным образом, потому, что днем половить не даст вездесущая плотва и красноперка. Так или иначе, даже в октябре такие озера и пруды не перестают радовать хорошим клевом в темное время суток. А с учетом того, что ночи сейчас порядка 12 часов, результат и вовсе может превзойти все ожидания.
Главное условие - ночь должна быть теплой. Практика показывает, что в прохладные и даже откровенно холодные ночи, когда на прибрежной траве появляется иней, карась не отличается активностью. И напротив, в теплую пасмурную погоду, с туманом и росой, отловиться можно просто замечательно. Причем, как на фидер, так и на поплавочную удочку, заменив антеннки поплавков светлячками. Крайне необычная и атмосферная рыбалка!